株洲经济开发区管理委员会开发建设局规划许可批前公示
株洲经济开发区管理委员会开发建设局规划许可批前公示
绿地云龙文化旅游城四期(2020年云田社区储备地块四)利害关系人:
我局已受理株洲绿地文化旅游开发有限公司提出的绿地云龙文化旅游城四期(2020年云田社区储备地块四)进行土地分割的申请。现将规划拟批准内容公示如下:
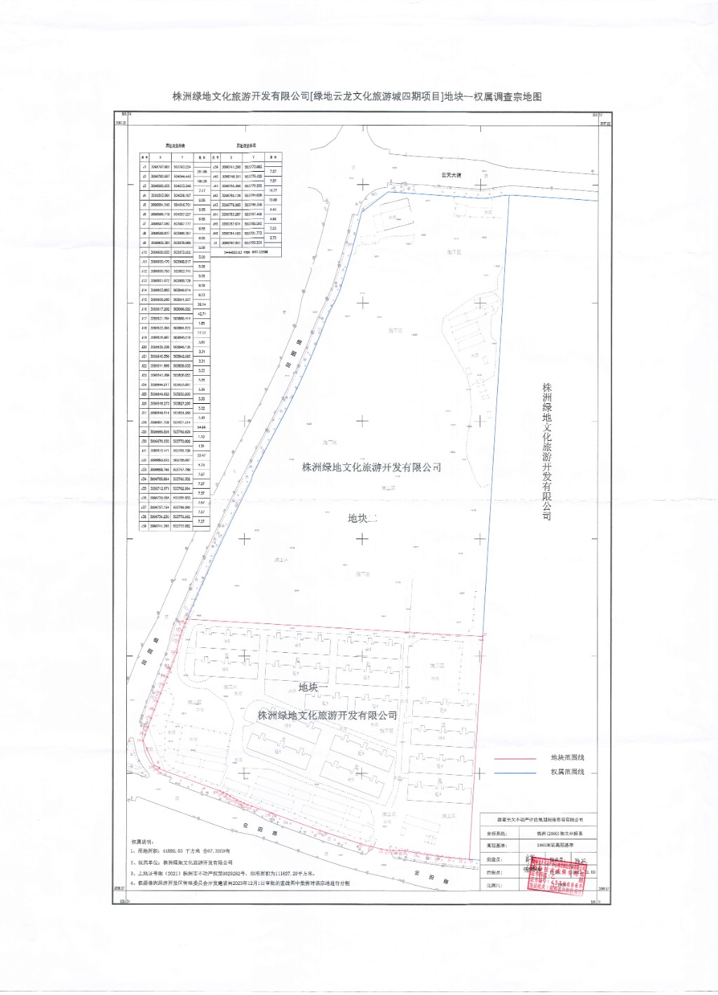
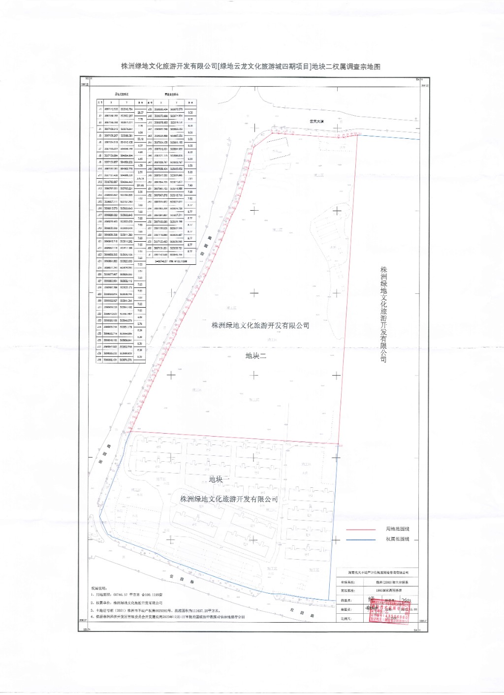
绿地云龙文化旅游城四期(2020年云田社区储备地块四)位于株洲经开区云田镇云田社区盘龙路与云田路交叉口东北角,净用地面积为111637.20平方米,用地性质为商住用地,现建设单位为办理“保交楼”融资配套资金抵押贷款,实现绿地云龙文化旅游城的保交楼,申请对 2020年云田社区储备地块四土地分割,分割范围线详见图纸。
图纸数量:3张
图纸名称: 权属调查宗地图(2张)、土地分割示意图(1张)
本公示期限从2023年12月7 日至2023年12月13日。根据《中华人民共和国行政许可法》第三十六条和第四十七条的规定,行政许可申请人、利害关系人有权进行陈述和申辩,并有要求听证的权利。如有意见与建议,请以署名书面形式告知株洲经济开发区管理委员会开发建设局。申请听证的应在公示期满后 5 个工作日内以书面形式向批后管理责任单位提出听证申请,逾期未提出的,视为放弃听证权利。
联系人:杨超
联系电话:15273357786
2023年12月7日


